PLANNING COMMISSION REPORT

Regular Agenda – Public Hearing Item

PC Staff Report

4/19/06

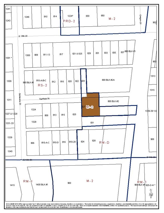
ITEM NO. 13:           M-2 TO C-4; .26 ACRES; 827 GARFIELD STREET (MJL)

 

Z-02-03-06: A request to rezone a tract of land approximately .26 acres from M-2 to C-4.  The property is generally described as being located east of Delaware Street, south of Garfield Street (827 Garfield Street).  Initiated by the City Commission on 2/14/06 following approval of the Burroughs Creek Corridor Plan.

 

STAFF RECOMMENDATION: 

·         Staff recommends approval of rezoning approximately .26 acres from the M-2 District to the C-4 District and forwarding a recommendation for approval to the City Commission based on the findings in the body of the staff report.

 

Reasons for Request:

 

To follow the recommendations of the Burroughs Creek Corridor Plan to rezone specific properties to their current use.

 

KEY POINTS

  • The C-4 (General Commercial) District would zone to the existing use.
  • The property has been used for various commercial/low-nuisance uses for over 25 yrs.
  • Horizon 2020 identifies the subject property as low-density residential.

 

GOLDEN FACTORS TO CONSIDER

CHARACTER OF THE AREA

  • The area is characterized by a mix of residential uses.

CONFORMANCE WITH HORIZON 2020

  • The rezoning of these properties from the M-2 District to the C-4 District is consistent with the goal of zoning to the existing use and the future land use map.

 

ASSOCIATED CASES/OTHER ACTION REQUIRED

·         Z-02-04-06 .34 acres, M-2 to RS-2 824 Garfield Street and a vacant lot to the southeast of 827 Garfield Street.

 

  PUBLIC COMMENT RECEIVED PRIOR TO PRINTING

  • None received

GENERAL INFORMATION

Current Zoning and Land Use:         

M-2 (General Industrial) District; 827 Garfield Street is developed as a auto detailing shop

 

Surrounding Zoning and Land Use:

 

         

RS-2 (Single-Family Residence) District; to the west, south, and northeast.  The properties to the west and south are developed with single-family homes and the properties to the northeast are vacant.

 

M-2 District; to the north and east.  The property to the north is a single-family home and the property to the east is vacant.

 

 

 

I.         ZONING AND LAND USES OF SURROUNDING PROPERTIES

 

The properties to the west, and south are zoned RS-2 District and are developed with single-family homes.  The properties to the northeast are zoned RS-2 District and are undeveloped.  The property to the north is zoned M-2 and is developed with a single-family home and the property zoned M-2 District to the east is undeveloped.

 

Staff Finding The request is to rezone approximately .26 acres from the M-2 District to the C-4 District. The subject property is currently developed with an auto detailing shop.  The areas surrounding the subject properties are zoned RS-2 District and M-2 District and are undeveloped or developed with single-family homes. As part of the Burroughs Creek Corridor Plan recommendations, the plan identified specific properties to be rezoned to the current use. 

 

II.       CHARACTER OF THE AREA

 

Staff Finding The area is characterized by a mix of residential uses and zoned mainly for low-density residential use.

 

III.      SUITABILITY OF SUBJECT PROPERTY FOR THE USES TO WHICH IT HAS BEEN RESTRICTED

 

The subject property is currently zoned for industrial use. According to the City’s Zoning Ordinance, the M-2 District, requires a minimum lot area of 5,000 square feet and does not allow for residential development. The general purpose of the industrial district is “…to accommodate a wide range of manufacturing, wholesaling, warehousing, and other industrial activities of medium intensity.”

 

The request is to rezone the subject property to the C-4 District, which requires a minimum lot area of 5,000 square feet and does not allow for residential development.  The general purpose of the general commercial district is “…to accommodate miscellaneous retail and wholesale commercial enterprises serving the consumer public, business, industry and agriculture.

 

Staff Finding Currently the property is zoned M-2 District and is developed with an auto detailing shop. The C-4 District zoning would allow inner neighborhood uses, retail and personal services uses, and auto orientated services, and other services subject to an approved site plan and any additional applicable regulation in the Zoning Ordinance.

 

The property at 827 Garfield is currently developed with an auto detailing shop.  If the subject property were to remain zoned M-2 District, it could redevelop with low to medium nuisance industrial uses along with a variety of commercial uses.  If the property is rezoned to C-4 District, it can redevelop with a variety of commercial uses but it is unlikely that a high traffic business would locate there because the subject property has low visibility to the general public and is located deep in a residential area.

 

 

 

 

 

IV.       LENGTH OF TIME SUBJECT PROPERTY HAS REMAINED VACANT AS ZONED

 

Staff Finding - The subject property has been zoned M-2 District since the adoption of the 1966 City of Lawrence Zoning Ordinance.

 

V.        EXTENT TO WHICH REMOVAL OF RESTRICTIONS WILL DETRIMENTALLY AFFECT NEARBY PROPERTY

 

Staff FindingThe C-4 District is more restrictive than the current zoning.  The proposed zoning allows would allow inner neighborhood uses, retail and personal services uses, and auto orientated services, and other services subject to an approved site plan.  The proposed zoning would not detrimentally affect the nearby properties but will help to protect the surrounding single-family homes.  The developed property is currently developed as an auto detailing shop.

 

VI.             RELATIVE GAIN TO THE PUBLIC HEALTH, SAFETY AND WELFARE BY THE DESTRUCTION OF THE VALUE OF THE PETITIONER’S PROPERTY AS COMPARED TO THE HARDSHIP IMPOSED UPON THE INDIVIDUAL LANDOWNERS

 

Evaluation of this criterion includes weighing the benefits to the public versus the benefit of the owners of the subject property. Benefits are measured based on anticipated impacts of the rezoning request on the public health, safety, and welfare.

 

Staff FindingIf the property retains its M-2 District designation, it potentially could redevelop with an industrial use or commercial use.  The proposed C-4 District zoning will allow the current use. The C-4 District will protect the public health, safety, and welfare better by helping to protect the existing single-family homes in the area and not creating a potential for industrial uses.

 

VII.     CONFORMANCE WITH THE COMPREHENSIVE PLAN

 

The subject property is located west of Delaware Street and south of Garfield Street.  The following Horizon 2020 goal and associated policies support the rezoning application:

 

COMMERCIAL LAND USE GOALS AND POLICIES

GOAL 2:  Compatible Transition from Commercial Development to Less Intensive Uses (Page 6-26)

                  Policy 3.2:  Parks, Recreation and Open Space as Transitional Use (Page 6-28)

                    

Staff FindingThe rezoning conforms to a Horizon 2020 policy related to commercial uses. There is open space to the east and northeast of the subject property.  This open space helps to buffer the commercial use from the existing single-family residential use to the east.  The vacant lots preserve natural areas and the floodplain. 

 

 

 

 

 

STAFF REVIEW

The subject property is located east of Delaware Street and south of Garfield Street.  As previously stated, land uses surrounding the properties include single-family residential uses, and vacant lots. The property has been used for a variety of commercial/low-nuisance industrial for over 25 years.  In the past the property has been used as a cabinetry shop, a paint warehouse, small engine shop and a woodworking shop. The proposed downzoning will allow redevelopment as commercial uses subject to site plan approval and any other applicable regulations in the Zoning Ordinance. The proposed rezoning does meet two of the goals and policies of Horizon 2020, is consistent with the Burroughs Creek Corridor Plan recommendations and would allow the current use to remain.