PLANNING COMMISSION REPORT

Regular Agenda – Public Hearing Item

PC Staff Report

4/19/06

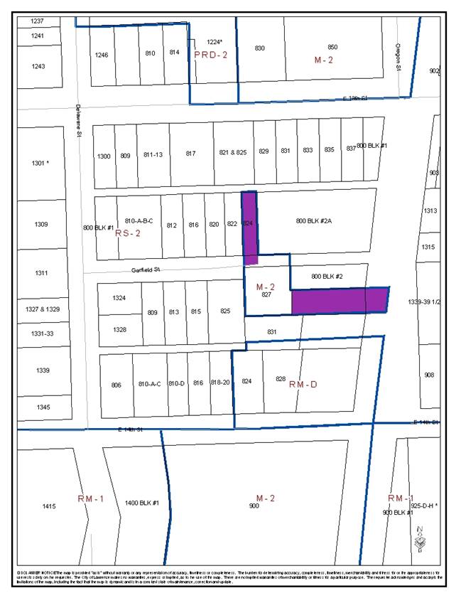
ITEM NO. 14:           M-2 TO RS-2; .34 ACRES; 824 GARFIELD STREET & PROPERTY                                          ABUTTING 827 GARFIELD STREET (MJL)

 

Z-02-04-06: A request to rezone a tract of land approximately .34 acres from M-2 to RS-2.  The property is generally described as being located along Garfield Street, east of Delaware Street (824 Garfield & property abutting 827 Garfield Street to the southeast).  Initiated by the City Commission on 2/14/06 following approval of the Burroughs Creek Corridor Plan.

 

STAFF RECOMMENDATION: 

·         Staff recommends approval of rezoning approximately .34 acres from the M-2 District to the RS-2 District and forwarding a recommendation for approval to the City Commission based on the findings in the body of the staff report.

 

Reasons for Request:

 

To follow the recommendations of the Burroughs Creek Corridor Plan to rezone specific properties to their current use.

 

KEY POINTS

  • The RS-2 District would be zoning to the existing use.
  • Horizon 2020 identifies the subject property as low-density residential.

 

GOLDEN FACTORS TO CONSIDER

CHARACTER OF THE AREA

  • The area is characterized by a mix of residential uses.

CONFORMANCE WITH HORIZON 2020

  • The rezoning of these properties from the M-2 District to the RS-2 District is consistent with the goal of zoning to the existing use and the future land use map.

 

ASSOCIATED CASES/OTHER ACTION REQUIRED

·         Z-02-03-06  .26 acres, M-2 to C-4 827 Garfield Street

 

  PUBLIC COMMENT RECEIVED PRIOR TO PRINTING

  • None received

GENERAL INFORMATION

Current Zoning and Land Use:         

M-2 (General Industrial) District; 824 Garfield Street is developed as a single-family home, the vacant property is undeveloped as part of a stormwater project.

 

Surrounding Zoning and Land Use:

 

         

RS-2 (Single-Family Residence) District; to the north, west and east of 824 Garfield.  The property to the north and west are developed as single-family residential and the property to the east is vacant. 

 

RS-2 (Single-Family Residence) District; north, east and south of the vacant property.  The property to the north and south of the vacant property are vacant and the property to the east is developed as single-family residential.

 

M-2 District; to the south of 824 Garfield and to the west of the vacant property is developed with an auto detail shop.

 

I.         ZONING AND LAND USES OF SURROUNDING PROPERTIES

 

The property directly north and west of the 824 Garfield is zoned RS-2 District and is developed with single-family homes.  The property to east of the 824 Garfield is zoned RS-2 and is vacant. The property to the south of 824 Garfield is zoned M-2 and is developed with an auto detailing shop.

 

The property to the north and south of the vacant subject property is zoned RS-2 and is vacant.  The property to the west is zoned M-2 is developed with an auto detailing shop.  The property to the east is zoned RS-2 and is developed with a single-family home.

 

Staff Finding The request is to rezone approximately .34 acres from the M-2 District to the RS-2 District. The subject properties are currently vacant and developed with a single-family home.  The areas surrounding the subject properties are zoned RS-2 District, and M-2 District. As part of the Burroughs Creek Corridor Plan recommendations, the plan identified specific properties to be rezoned to the current use.  824 Garfield is currently a single-family home and would not be able to redevelop as a industrial use and meet the requirements of the M-2 District.  The vacant parcel is owned by the city and was purchased as part of a stormwater project that runs through the area.

 

II.       CHARACTER OF THE AREA

 

Staff Finding The area is characterized by a mix of residential uses and zoned mainly for low-density residential use.

 

III.      SUITABILITY OF SUBJECT PROPERTY FOR THE USES TO WHICH IT HAS BEEN RESTRICTED

 

The subject properties are currently zoned for industrial use. According to the City’s Zoning Ordinance, the M-2 District, requires a minimum lot area of 5,000 square feet and does not allow for residential development. The general purpose of the industrial district is “…to accommodate a wide range of manufacturing, wholesaling, warehousing, and other industrial activities of medium intensity.”

 

The request is to rezone the subject property to the RS-2 District, which requires a minimum lot area of 7,000 square feet and requires a minimum of 7,000 square feet per dwelling unit for residential development. The general purpose of the single-family residential district is “…designed for those areas where the land is presently being used, or where development appears desirable, for single-family dwellings.”

 

Staff Finding Currently the properties are zoned M-2 District.  One is vacant property and the other property is developed with a single-family home. The RS-2 District zoning would allow single-family residential redevelopment, subject to any additional applicable regulation in the Zoning Ordinance.

 

The property at 824 Garfield is developed with a non-conforming single-family home on a sub-standard lot (3,900 square feet) platted in 1883.  This property would not be able to redevelop as an industrial use because of the size.  The lot size will remain non-conforming but the use will conform following rezoning.  The subject property that is vacant is owned by the city and is not planned to be developed because of the stormwater project for which it was acquired and the adjacent drainage area.

 

IV.       LENGTH OF TIME SUBJECT PROPERTY HAS REMAINED VACANT AS ZONED

 

Staff Finding - The subject property has been zoned M-2 District since the adoption of the 1966 City of Lawrence Zoning Ordinance.

 

V.        EXTENT TO WHICH REMOVAL OF RESTRICTIONS WILL DETRIMENTALLY AFFECT NEARBY PROPERTY

 

Staff FindingThe RS-2 District is more restrictive than the current zoning.  The proposed zoning allows single-family residential uses.  The proposed zoning would not detrimentally affect the nearby properties but will protect the existing single-family home and the character of the area.  The developed property is already sub-standard and would not be able to be developed with an industrial use as currently zoned.

 

VI.             RELATIVE GAIN TO THE PUBLIC HEALTH, SAFETY AND WELFARE BY THE DESTRUCTION OF THE VALUE OF THE PETITIONER’S PROPERTY AS COMPARED TO THE HARDSHIP IMPOSED UPON THE INDIVIDUAL LANDOWNERS

 

Evaluation of this criterion includes weighing the benefits to the public versus the benefit of the owners of the subject property. Benefits are measured based on anticipated impacts of the rezoning request on the public health, safety, and welfare.

 

Staff FindingIf the property retains its M-2 District designation, it could not redevelop with an industrial use or a residential use.  The proposed RS-2 District zoning will allow the current use, is more appropriate for the area and the single-family home would no longer be a non-conforming use. The RS-2 District will protect the public health, safety, and welfare better by protecting an existing single-family home and not creating a non-conforming use.

 

 

 

 

VII.     CONFORMANCE WITH THE COMPREHENSIVE PLAN

 

The subject property is located west of Delaware Street along Garfield Street.  The following Horizon 2020 goal and associated policies support the rezoning application:

 

RESIDENTIAL LAND USE GOALS AND POLICIES

Low-Density Residential Land Use

GOAL 3:  Neighborhood Conservation (Page 5-14)

                  Policy 3.2:  Protect Existing Housing Stock (Page 5-14)

GOAL 5:  Create a Functional and Aesthetic Living Environment (Page 5-17)

                  Policy 5.1:  Preserve and Protect the Environment (Page 5-17)

                    

Staff FindingThe rezoning conforms to two Horizon 2020 policy related to low-density residential uses. The proposed zoning would protect the existing single-family residential use.  The vacant lot is preserving natural areas and the floodplain.  The proposed rezonings are consistent with the Horizon 2020 future land use map. 

 

The proposed zoning however does not meet the Horizon 2020 goals for transitions between low-density residential uses and more intensive uses. It is appropriate to transition from low to more intense uses.  If this rezoning was approved, there would be no transition from the low-density (RS-2 District) residential zoning to the (M-2 District) industrial zoning, proposed to be commercial zoning, to the west and south of the subject properties.  The auto detailing use however has been a variety of commercial/industrial uses in this neighborhood for a variety of years and has fit into the neighborhood.

 

STAFF REVIEW

The subject property is located east of Delaware Street along Garfield Street.  As previously stated, land uses surrounding the properties include a single-family residential uses, an auto detailing shop and vacant lots used for a stormwater project. The proposed zoning will allow redevelopment as single-family residential uses subject any applicable regulations in the Zoning Ordinance. The proposed zoning would be consistent with the surrounding uses, the current use, consistent with the Burroughs Creek Corridor Plan recommendations and alleviate a non-conforming use.