Memorandum

City of Lawrence

Planning & Development Services

 

TO:

David Corliss, City Manager

 

FROM:

Mary Miller, Planning Staff

 

CC:

Dianne Stoddard, Assistant City Manager

Cynthia Wagner, Assistant City Manager

Scott McCullough, Planning and Development Services Director

 

Date:

July 12, 2011

 

RE:

Extension request for SP-4-14-09; Site Plan for Construction Sales and Services Commercial Building at 700 Connecticut Street

 

 

Attachments:  A—Location Map

                   B—Extension Request

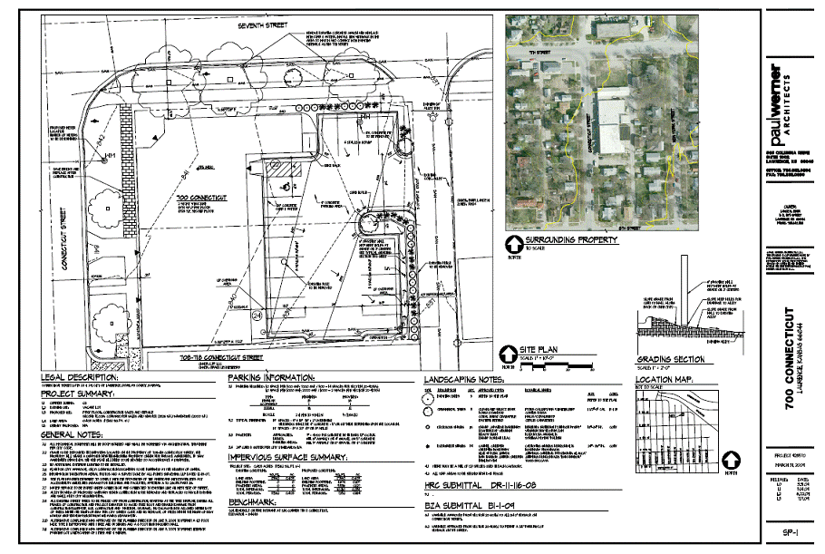
                   C—Approved Site Plan

 

The Planning Director administratively approved a Site Plan [SP-4-14-09], Attachment C, for a construction sales and service commercial building at 700 Connecticut on July 17, 2009 subject to the following conditions of approval:

 

1.    Applicant shall execute a site plan performance agreement.

 

2.    The applicant shall evaluate the lighting in the area of the proposed parking lot using a light meter and provide this information to the City Engineer for his review. If the City Engineer determines the existing lighting is not adequate, the site plan shall be revised to include exterior lighting and a photometric plan shall be submitted and approved prior to the release of the site plan.

 

3.    The applicant shall provide a detail of the masonry wall to the east of the property showing the architectural details and design which will create an effective and aesthetically pleasing buffer from the property to the east. The design of the wall must be approved by the Planning Director prior to the release of the site plan.

 

4.    A revised site plan shall be submitted with the following changes:

a.        General Note 2.10 shall be revised to include the wording “…per the Planning Director’s approval of the wall detail.” at the end of the sentence, as the architectural detail of the fence has not yet been provided.

 

5.    Historic Resources Commission approval is required prior to the release of the site plan.

 

Per Section 1305(o) of the Development Code, if the landowner fails to obtain a building permit within 24 months after final approval of the site plan, then the site plan shall expire unless an extension request showing good cause is provided to the Planning Office prior to the expiration date.

 

The applicant requested an extension of the approval as building permits had not been obtained and the site plan approval would expire on July 17, 2011 (Attachment B). The extension request indicated that the property owner is interested in pursuing this development but has not found a tenant.

 

Staff Discussion:

The site plan was reviewed under the standards of the 2006 Development Code. The site plan has been approved but the conditions of approval must be met before the site plan can be released for building permits. The proposed use, construction sales and services, is an appropriate use for the area and the site design maintains compatibility with the surrounding neighborhood.

 

Staff Recommendation:

Planning Staff recommends approval of the 24 month extension of the site plan approval for SP-4-14-09 to July 17, 2013 subject to the condition that the Conditions of Approval noted above shall be met within this time frame.

 


 

 

 Attachment A:

General Location Map of 700 Connecticut.  Subject property shown in black.

 

 

 

 

 

 

 

 

 

 

 

 

 

 

 

Attachment B. Extension Request

 

 

 

 

 

 


Attachment C:

Approved Site Plan [SP-4-14-09] for Construction Sales and Service at 700 Connecticut