Memorandum
City of Lawrence
Planning & Development Services
|
TO: |
David L Corliss, City Manager |
|
FROM: |
Mary Miller, Planning Staff |
|
DATE: |
For June 17, 2014 City Commission meeting |
|
RE: |
Extension request for Preliminary Development Plan for Mercato PCD [PDP-08-08-06] |
Attachments:
A: Written request for extension
B: Development History
C: Aerial photos showing development in the area
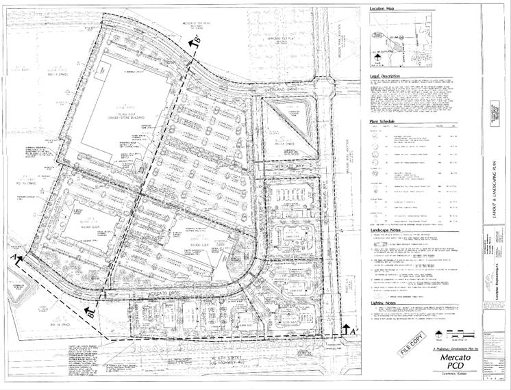
D: Mercato Preliminary Development Plan
The Preliminary Development Plan for the Mercato Planned Commercial Development was approved by the City Commission on April 17, 2007. The City Commission approved the following extensions for the development plan:
Following the approval of the Preliminary Development Plan in 2007, final plats were submitted and approved for the Mercato property. A rezoning in 2009 increased the commercial area in the development and a revised preliminary plat reconfigured the interior street layout, created additional right-of-way for a right-in/right-out on W 6th Street/Hwy 40, and provided for the construction of Renaissance Drive to the west of the subject property. The Planning Commission’s approval of the preliminary plat in 2009 was conditioned on the revision of the final plats.
A written request for an extension of the approval for the Preliminary Development Plan was submitted prior to the expiration date, June 30, 2014. (Attachment A) The applicant indicated that development of this area has been slower than anticipated due in part to the slow economy and the delayed construction of the South Lawrence Trafficway.
The economic slowdown is recognized and was a generator for a text amendment to create longer approval and extension timeframes. In staff’s opinion, the general state of the economy constitutes a good cause for an extension.
With this extension, the approval of the Preliminary Development Plan would be effective to June 30, 2016. The requested extensions of the final plat approvals were administratively approved by the Planning Director on June 6th, contingent upon the approval of the extensions requested for the other Mercato items: the subject extension to the development plan, and the extension of the 2009 preliminary plat (PP-10-05-09) which will be considered by the Planning Commission at their June 23, 2014 meeting.
Per Section 20-1304(d)(12)(i) of the Development Code, approval of a Preliminary Development Plan may be extended for a period not to exceed 24 months for good cause shown. As the applicant noted, the delay is due primarily to the slow economy and the delayed construction of the South Lawrence Trafficway. The project remains compliant with the requirements of the Development Code.
The aerial photos in Attachment C illustrate the development which has occurred in the surrounding area since the original approval of the development plan. This new development is primarily residential with Rock Chalk Park and the City Rec Center to the north. The proposed development remains compatible with the surrounding area.
Staff Recommendation:
Planning Staff recommends that the City Commission approve the 24 month extension request which would permit the Preliminary Development Plan approval to remain valid until June 30, 2016.
The following table lists the approvals associated with the Mercato Development and the extensions which have been granted to date.
|
Application |
File No. |
Date Approved |
Description |
Area (app.) |
|
|
Rezonings |
Z-01-10-05 |
May 9, 2006 |
A to RS7 (previous designation: RS-2) |
25.82 acres |
|
|
Z-01-11-05 |
May 9, 2006 |
A to RM12D (previous designation: RM-D) |
7.63 acres |
||
|
Z-01-12-05 |
May 9, 2006 |
A to RM24 (previous designation: RM-2) |
12.77 acres |
||
|
Z-03-05-06 |
May 9, 2006 |
A to PCD[Mercato] PCD[Mercato]PCD-2) |
45.31 acres |
||
|
Z-03-06-06 |
May 9, 2006 |
A to RMO (previous designation: RO-1A) |
31.12 acres |
||
|
Z-10-17-09 |
Jan 5, 2010 |
UR to CC 400 |
23.96 acres |
||
|
Plats |
PP-01-02-06 |
April 27, 2006 |
Mercato 75 single-dwelling lots (RS7); 18 duplex lots (RM12D); 1 multi-dwelling lot (RM24); 6 residence/office lots (RMO); 9 commercial lots (PCD[Mercato]) |
122.65 acres 25.82 acres 7.63 acres 12.77 acres 31.12 acres 45.31 acres |
|
|
PF-06-15-06 |
April 17, 2007 |
Mercato Addition First Plat Extension granted to 6/30/16 on June 6, 2014 pending approval of extensions for preliminary plat and preliminary development plan. 18 duplex lots (RM12D); 75 single-dwelling lots (RS7); 1 multi-dwelling lot (RM24) |
49.67 acres |
||
|
PF-03-04-07 |
May 15, 2007 |
Mercato Addition 2nd Plat Extension granted to 6/30/16 on June 6, 2014 pending approval of extensions for preliminary plat and preliminary development plan. 6 residence/office lots (RMO); 10 commercial lots (PCD[Mercato]) |
72.66 acres |
||
|
PP-10-05-09 |
Dec 14, 2009 |
Revised Preliminary Plat for Lots 7, 8 and 9, block Four, and Lots 2, 3, and 4, Block Seven as shown on the approved Preliminary Plat for Mercato dated 4/26/06 Extension granted to 6/30/14 Extension request to 6/30/16 on Planning Commissioln June 2014 agenda 4 commercial lots |
28.89 acres |
||
|
Development Plans |
PDP-08-08-06 |
April 17, 2007 |
Mercato Planned Commercial Development Extension granted to June 30, 2012 Extension request to Jun 30, 2014 on City Commission June 17, 2014 agenda |
45.31 acres |
|
|
Table 1. Approvals associated with the Mercato Development. Subject extension request is highlighted. Extension requests for the final plats were approved by the Planning Director and the Planning Commission |
|||||
Apartments Aberdeen on 6th (built) 2006 Fully Developed (Res) ~ 145
acres annexed and rezoned CC600 Mostly Developed (Res) Water tower Platted: Langston Heights (Res) Hunter’s
Ridge Apts Ph
1,built Preliminary Plat approved for Kellyn
Addition (residential) Preliminary approval: Multi-Dwelling
residential w golf course Rock Chalk Park and City Rec Center
Rock Chalk Park and City

Ph 1,built 2009 ~ 145 acres annexed and rezoned CC600 Platted: Langston Heights (residential) Rock Chalk Park and City Rec Center Preliminary approval: Multi-Dwelling w golf course Preliminary Plat Kellyn Addition (residential) Hunter’s Ridge Apts

