Memorandum
City of Lawrence
Planning Department
|
TO: |
David L. Corliss, City Manager |
|
FROM: |
Planning Staff |
|
DATE: |
August 22, 2014 |
|
RE: |
PDP-14-00171, Revised Preliminary Development Plan for The Links at Lawrence located at 251 Queens Road. |
Background
The Planning Commission voted to recommend approval of Preliminary Development Plan for The Links at Lawrence subject to conditions of approval listed in the staff report at their July 21, 2014 meeting. It was noted at the meeting that the density shown on the plan exceeded that permitted by the zoning. The property had been rezoned RM12 with a condition limiting the maximum density to 6 dwelling units per acre. The applicant had miscalculated the density by using the gross area of the property, rather than the net area as required by the Development Code.
A reduction in density is not considered a major change; therefore, it can be made with the Final Development Plan and does not require reconsideration by the Planning Commission. The attached revised Preliminary Development Plan was submitted to the Planning Office on August 21st for the August 26th City Commission meeting.
Discussion
This revised plan shows a reduction in units to comply with the 6 dwelling units per acre limit permitted by the zoning and shows the reconfiguration of the layout of the units.
|
|
Apt Buildings |
Dwelling Units |
Calculated Density |
|
PC Approved Plan |
52 |
900 |
6.6 du/acre |
|
August Revised Plan |
44 |
842 |
6.0 du/acre |
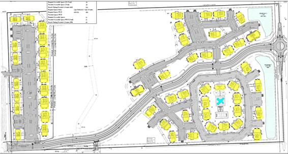
With the reduction in dwelling units, the structures nearest to the north and south property lines on the east side of the property, Phase 1, were removed. (Figures 1 -3) This provides additional buffering for the single-dwelling residential development which is expected to the north and south of the subject property. Additional ponds were added to the property to assist in stormwater management and a golf course has been added back to the plan. A ‘foot golf’ course is shown around the perimeter of the apartment development and does not encroach into the protected wooded area. The applicant explained that this is a new form of recreation which uses soccer balls rather than golf balls. More information on this new sport can be found at the following link: http://www.pga.com/news/golf-buzz/explaining-footgolf-and-what-it-may-mean-golf
The revised plan complies with the density limitation placed on the conditioned zoning and the reduction in units allows the structures which had been located nearest the south and north boundary of the property to be removed. This provides an additional buffer from the expected single-dwelling residential development to the north and south, resulting in a more compatible development.
Staff Recommendation
Approval of the Preliminary Development Plan, PDP-14-00171 as recommended by the Planning Commission with the revision to the layout and density as shown on the August 18, 2014 revised plan.
|
|
|
Figure 1. The Links PDP layout recommended for approval by PC on 7/21/2014, subject to conditions. Buildings and parking areas highlighted |
|
|
|
Figure 2. August 18, 2014 revised plan with reduced dwelling units and structures and revised layout. |
|
|
|
Figure 3. PC approved layout overlaid on revised plan for comparison. Apartment buildings along the north and south perimeter of the east side, Phase 1, that were removed with this revision are crossed out. |