Special Event Permit

April 14, 2015

Consent Agenda

 

SE-15-00148:  A Special Event Permit request for the Lawrence Pop Up Festival on 1235 N. 3rd St.  on Saturday, April 18-19, 2015. Submitted by Attic Traffic Productions with permission from Don Westheffer, property owner of record.

 

GENERAL INFORMATION

 

Current Zoning and Land Use:

IG (General Industrial) District including property to the north and to the east.

 

Surrounding Zoning and Land Use:

 

CS (Commercial Strip) District to the east; nursery and landscape.

 

RS10 (Single-Dwelling Residential) District to the east and south; this is vacant land and is the location of the I-70 exit ramp.  No residential structures are located in this zone.

 

IG to the south; automotive repair.

STAFF REVIEW

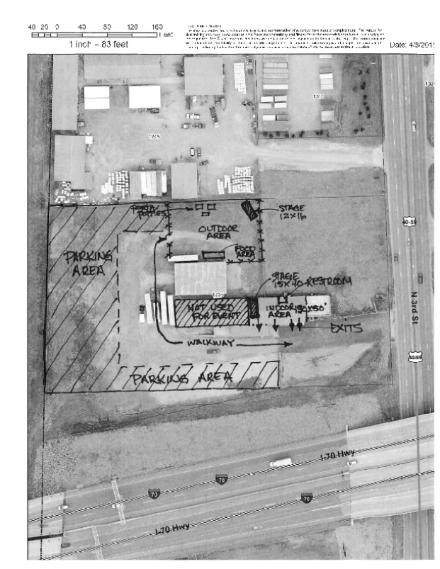
A Temporary Special Event Permit has been requested to utilize the vacant building and lot located at 1235 N. 3rd St. for the Lawrence Pop Up Festival on Saturday, April 18th-19th  from 9AM to 9AM.

 

Multiple bands will be participating.   A stage for live music will be set up outside to the north of the building as well as a stage inside the east portion of the building.  Porta-potties will be placed in the open area north of the building.  The interior portion of the building is served by existing restrooms.  This is an indoor/outdoor festival.

 

Article 15 of Chapter 6 of the City Code regulates Temporary Special Events. This event is classified as a Type 5 event (Public events intended primarily for entertainment or amusement, such as concerts or festivals).   If all of the standards of the section are met, up to 4 administrative permits are available per site, per year. The standards require that the property have an approved site plan on file and is commercially or industrially zoned.   The subject property is zoned industrial, but is currently vacant.  In addition, the event will extend until the following morning.  These conditions require the permit to be approved by the City Commission.

 

The applicant is pursuing a temporary liquor license which is contingent upon approval of the Special Event permit for this zoning district, IG (Industrial General).  Upon approval of the special event permit, the temporary liquor license will be obtained prior to 5pm on Friday, April 17th.

 

The Special Event Permit request was forwarded to various City Departments for review. The Fire/Medical Department has noted that any tents must be flame retardant to NFPA 701, have fire extinguishers and all tents (including tie down ropes) must be separated by a minimum of 12’.  Combustible materials may not be used for footing in tents.

 

The applicant intends to staff the event with hired security for overall security and monitoring of the event.  The applicant will also have designated staff (a minimum of 3) for safety and emergency procedures as specified by the Fire/Medical Department.  This will include provisions for Fire Watch, evacuation procedures and apparatus access in case of an emergency.  A parking area has been designated on the west and south portions of the property and the applicant will provide parking staff and volunteers.

 

RECOMMENDATION: Planning Staff recommends approval of the Temporary Special Event for the Lawrence Pop Up Festival on Saturday, April 18-19, 2015 from 9AM to 9AM subject to the following conditions:

 

1.  Special Event Permit must be displayed on site during hours of operation.

 

2.  Temporary sign permit must be obtained from Development Services if temporary signage is to be used.

 

3.  Any structures must be removed within 24 hours after the cessation of the event.

 

4.  Vehicles used for storage of merchandise for event may only be on site during the approved hours of operation.

 

5.  Trash receptacles or other sanitation provisions, as needed.

 

6.  Event operator must coordinate site barricades with Fire/Medical staff to ensure that access is available in the event of an emergency.

 

7.  The overhead door in the building will be bolted in the open position and the other 3 exit doors will remain unlocked at all times.

 

8.   A minimum of 2 fire extinguishers of type 2A10BC will be installed in the building.

 

9.  Emergency exit signs and lights will be installed per Fire/Medical Department.

 

10.  Fire safety & evacuation plan developed by staff.

 

11.  Occupants in the interior of the building shall not exceed 480.

 

12.  Fire Department will conduct an inspection prior to the event.

 

13.  If tents are utilized:

a.  The tent or other membrane structure must meet the International Fire Code.

b.  Smoking is not permitted in tents or membrane structures. ‘No Smoking signs shall be conspicuously posted and enforced.

c.  Open  flame  or  devices  emitting  flame,  fire  or  heat  or  any  flammable  or combustible liquids, gas or other cooking device shall not be permitted inside or

located within 20 ft of the tent or membrane structures.

d.  2A1OBC Portable fire extinguishers shall be provided on site.

e. Two exits must be provided as well as exit signs and emergency lighting for enclosed tents, tents with walls rather than canopy tents.

 

Site Location:  1235 N. 3rd St.

 

Proposed use of site:

 

Interior Dimensions of event space.