Memorandum

City of Lawrence

Planning and Development Services

 

TO:

Diane Stoddard, Interim City Manager

FROM:

Katherine Simmons, Planner I

DATE:

December 2, 2015

RE:

Dedication of easements associated with the Minor Subdivision/Replat of Lot 3, Block One, Fairfield Farms West Addition in the city of Lawrence, Douglas County, Kansas, Submitted by CFS Engineers for Southwind Capital, LLC, and BJ North County Medical Dental Center, LLC, the property owners of record.  The property is located at 2101 Exchange Ct.

 

Background

Minor Subdivsions/Replats are land divisions that are reviewed and processed administratively.  These items are placed on the City Commission agenda when easements or rights-of-way are being dedicated or vacated.  A Minor Subdivision for Bethel Estates of Lawrence No. 1, MS-15-00370, was administratively approved by the Planning Director on December 3, 2015 pending the City Commission’s acceptance of easements.

 

The subject property was previously platted with utility easements.  This Minor Subdivision has been placed on the City Commission’s agenda for acceptance of dedication of additional internal utility easements and access easements as shown on the plat. A copy of the Minor Subdivision and Administrative Determination are attached.

 

Action

Accept the dedication of utility and access easements as shown on the Minor Subdivision, MS-15-00370, for Bethel Estates of Lawrence No. 1.

 

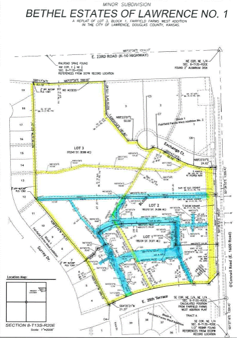
Figure 1: Existing and Proposed Utility Easements

Yellow:  Existing easements

Blue: Proposed internal easements